Le 4 avril 2019, 70 scientifiques ont embarqué sur le navire "Marion Dufresne" pour un mois de mission dans les Îles Eparses, ces territoires français vierges disséminés autour de Madagascar. Le 30 avril dernier, biologistes marins, généticiens ou encore océanographes étaient de retour après avoir observé l'évolution des récifs coralliens autour d'Europa, Juan De Nova, Glorieuses et Tromelin.
Parmi les chercheurs embarqués, trois équipes étaient composées de scientifiques de l’Institut de Recherche pour le développement (IRD), qui contribuent aux actions du Consortium de recherche Iles Eparses 2017-2020. Ce consortium comprend le CNRS, l’IRD, l’Ifremer, l’Agence Française pour la Biodiversité, l’Université de la Réunion, Le Centre Universitaire de Mayotte et les TAAF.
Ces trois équipes avaient pour objectif une meilleure connaissance des Îles Eparses et de leur environnement au travers de trois projets.
• Histoire génétique des espèces des récifs coralliens de l’Océan Indien
Philippe Borsa, directeur de recherche et Cécile Fauvelot, chargée de recherche au sein de l’unité mixte de recherche ENTROPIE. Retracer l’histoire et l’évolution génétique de différentes espèces récifales, pour construire leur arbre généalogique.
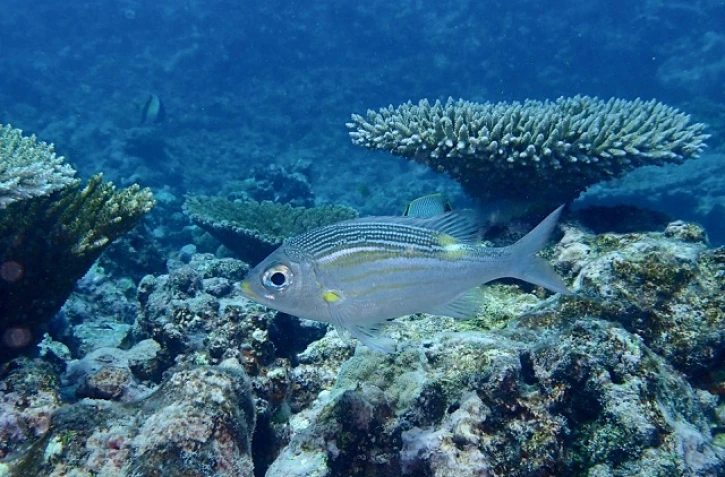
Premiers résultats : des récoltes de millépores, tridacnes, chitons, bernard l’hermite, ophiures, holothuries et poissons ont été faites sur les récifs des îles Europa, Juan de Nova, Glorieuses et Tromelin.
Parmi les résultats marquants de cette mission sont : la présence aux Iles Eparses d’un bernard l’hermite jusqu'ici rapporté du seul océan Pacifique, la collecte de deux nouvelles espèces de poissons de type Capitaine, et l’échantillonnage de deux tridacnes rares. Le projet aborde maintenant sa seconde phase, qui est le séquençage de l'ADN des échantillons obtenus.
• Impacts du changement climatique sur les écosystèmes coralliens de la zone
Aline Tribollet, chargée de recherche pour le Laboratoire LOCEAN-IPSL. Ces îles voyant très peu d’activité humaine, elles constituent un terrain idéal pour mesurer les seuls effets de la température et du pH sur les coraux, principaux constructeurs de récifs, et les bioérodeurs, principaux agents de la dégradation et de la dissolution récifale.
11 scientifiques dont des biologistes-écologistes récifaux, des biogéochimistes et chimistes marins et des géochimistes-paléoclimatologues ont ainsi pu travailler dans un environnement unique.
Premiers résultats : la mission a permis la collecte des carottes coralliennes dans toutes les Iles Eparses pour reconstruire les paléo-climats et conditions océanographiques au cours des 100 à 400 dernières années.
En moyenne 2 carottes coralliennes ont été collectées par île, allant de 80 cm de long (Tromelin) à plus de 4m (aux Iles Glorieuses). Des expériences pour étudier la bioérosion ont été installées pour une durée d’un an et plus, à Europa, Juan de Nova et les Iles Glorieuses.
• Evaluation de la santé des récifs coralliens
Pascale Chabanet, directrice de recherche au sein de l’UMR Entropie (représentante de l’IRD à la Réunion). Evaluer l’état de santé des récifs coralliens en mesurant la diversité de la faune fixée (coraux, algues, ...) et mobile (poissons), leur abondance et la quantité de biomasse en poissons associée.
Ce suivi, mis en place il y a plus de 10 ans aux Iles Eparses, est associé au réseau mondial de surveillance des récifs coralliens (GCRMN Global Coral Reef Monitoring Network) qui permet, sur la base d’une même méthodologie utilisée, de comparer l’évolution des récifs coralliens dans tous les océans.
Premiers résultats : les récifs d’Europa, avec une forte couverture corallienne, montrent une grande stabilité temporelle, alors que ceux de Juan de Nova sont fortement impactés par le réchauffement des eaux de surface et la pêche illégale.





