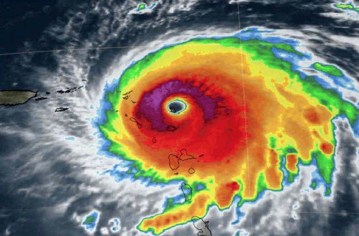
Écoles et administrations fermées, populations du littoral évacuées: les Petites Antilles, désormais en partie en vigilance rouge, se préparent à l'arrivée d'Irma, l'ouragan passé en catégorie 5, qui pourrait ensuite toucher Haïti et la Floride. À 22 heures ce mardi (heure de La Réunion) le cyclone était à 370 km à l'est de la Martinique, 335 km de la Guadeloupe. Il était à 500 km des Iles du Nord, Saint-Martin et Saint-Barthélémy. Selon Météo-France, "il est possible que l'oeil du cyclone passe directement sur l'une des deux îles en fin de nuit et courant de matinée" mercredi, heure locale. Selon les météorologues il s'agit de l'un des 20 ouragans les plus puissants jamais observés sur le globe
Irma est devenue mardi "un ouragan extrêmement dangereux" de catégorie 5, soit le maximum de l'échelle qui mesure ces phénomènes, a annoncé le Centre américain des ouragans. A 22H00 mardi (heure de La Réunion), il se rapprochait des Iles-sous-le-vent, à 295 km de la Barbade et 290 km d'Antigua, où le vent et la pluie ont commencé. Le cyclone était à 370 km à l'est de la Martinique, 335 km de la Guadeloupe et encore 500 km des Iles du Nord, Saint-Martin et Saint-Barthélémy.
Rapportée à l'échelle de la #France, voici la taille de l'ouragan #IRMA. pic.twitter.com/xpDIO9rTda
— La Chaîne Météo (@lachainemeteo) 5 septembre 2017
Écoles et administrations fermées, populations du littoral évacuées: les Petites Antilles, désormais en partie en vigilance rouge, se préparent à l'arrivée d'Irma, l'ouragan passé en catégorie 5, qui pourrait ensuite toucher Haïti et la Floride.
Les deux îles françaises de Saint-Martin et Saint-Barthélémy sont particulièrement menacées. Selon Météo-France, "il est possible que l'oeil du cyclone passe directement sur l'une des deux îles en fin de nuit et courant de matinée" mercredi, heure locale.
C'est la première fois que ces îles connaîtront un cyclone de cette catégorie. Elles ont été placées mardi en alerte rouge cyclonique, synonyme de confinement de la population, avant un passage en "violet" (plus haut niveau de vigilance).
🔴Cyclone #Irma 🌀: vigilance violette déclenchée pour #SaintMartin et #SaintBarthelemy. Restez à l’abri. Ne sortez sous aucun prétexte. pic.twitter.com/V0MqS3NqFF
— Ministère Intérieur (@Place_Beauvau) 6 septembre 2017
Anne Laubies, préfète déléguée des deux îles, a exhorté les "11.000 personnes" vivant dans des zones à risque à les quitter. "Il faut partir maintenant, c'est leur vie qui est en jeu", a-t-elle insisté.
Des webcams pour suivre le passage d'Irma à Saint-Barthélemy - Guadeloupe 1ère https://t.co/a5eosB2zLt
— Karl SIVATTE (@Ksivatte) 6 septembre 2017
- Évacuations -
Mardi, les gendarmes ont évacué plusieurs quartiers situés en zone inondable ou submersible à Saint-Martin. "L'ensemble des baies de Saint-Barthélémy et de Saint-Martin devraient être immergées au cours de l'épisode cyclonique", a averti la préfecture.
Sont attendues des rafales pouvant atteindre 280 km/h, des précipitations de l'ordre de 200 à 300 mm et une forte houle, avec des creux de plus de 10 m. Onze abris anticycloniques ont été ouverts. Les lieux de culte ont également été mobilisés. Même si "la Guadeloupe ne subira pas les conditions les plus extrêmes liées à Irma", selon Météo-France, elle est également passée en vigilance rouge cyclonique.
Stéphanie, qui habite sur un voilier dans la marina de Pointe-à-Pitre, est partie se mettre à l'abri "chez une amie", après avoir "sécurisé au maximum le bateau en espérant qu'il n'y ait pas trop de casse". Le cyclone devrait ensuite prendre le chemin des Iles Vierges britanniques et atteindre mercredi soir Porto Rico, avant la République dominicaine et les Bahamas.
[IRMA] Alexandre Giraud en direct du centre de Méteo France en Guadeloupe pour un point sur l'évolution de l'ouragan. #irma #guadeloupe pic.twitter.com/YyLttp2Cf4
— RCI Guadeloupe (@RCI_GP) 6 septembre 2017
L'ouragan, qui se déplace à 22 km/h, est désormais plus puissant que les ouragans Luis (1995 St-Martin) ou Hugo (1989 Guadeloupe, 15 morts). Il est aussi plus puissant que Harvey, qui a récemment frappé le Texas et la Louisiane, faisant au moins 42 morts et plus de 100 milliards de dégâts matériels.
En Floride, les habitants faisaient mardi des réserves et certains rayons étaient vides dans les magasins. "Il n'y a pas d'eau, il n'y a pas de lait, il n'y a quasiment plus de conserves, et il n'y a plus de nourritures pour les chats", a déploré Gladys Bosque, retraitée de 81 ans, dans un supermarché de Miami Beach.
Dans la partie néerlandaise de Saint-Martin (Sint Maarten), des militaires de Curaçao et Aruba sont arrivés lundi en renfort, ainsi que dans les îles de St-Eustache et Saba. A Porto-Rico, le gouverneur a mobilisé la garde nationale et ouvert des abris pour la population.
- 'En plein dedans' -
A Saint-Barth, Saint-Martin et en Guadeloupe, les écoles sont fermées au moins jusqu'à mercredi inclus. Les administrations publiques le seront aussi mercredi.
L'ouragan Irma, passé en catégorie 5, s'approche des Antilles et pourrait ensuite toucher Haïti et la Floride. pic.twitter.com/MWEuLKKliG
— Nsimba Vantoto (@ConsensusAlways) 6 septembre 2017
La population s'est approvisionnée en eau, nourriture et piles. "Ca commence à être la pénurie. On a fait des réserves de bouteilles d'eau, mais on n'a pas pu acheter de réchaud, pour le moment où il n'y aura plus d'électricité", a expliqué Olivier Toussaint, 41 ans, à Saint-Martin, joint par téléphone. "On va être en plein dedans. L'intensité du cyclone nous inquiète de plus en plus", a-t-il avoué.
A Saint-Barth, nombreux ont fait la queue dans les stations-services, ont coupé et taillé les arbres autour des habitations, et calfeutré fenêtres et portes, a constaté l'AFP.
La cellule interministérielle de crise a été activée et une soixantaine de professionnels de la sécurité civile ont été envoyés en renfort dans les deux îles. La Martinique a quant à elle été placée en "alerte rouge pour mer dangereuse" et en "alerte jaune pour vents forts" et "fortes pluies".
#Irma, l'avancée de la mer dans l'après-midi, quartier "Souffleur", à la Désirade (Guadeloupe), à la surprise des habitants photo Lulie). pic.twitter.com/dYy5yYyzFp
— Martinique1ère (@Martinique1re) 6 septembre 2017
www.ipreunion.com avec l'AFP


