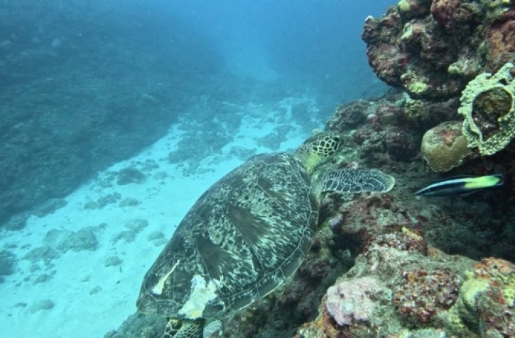
Une tortue marine a été victime d'une collision avec une hélice de bateau. Déjà observée par les équipes de Kélonia sans blessure sur sa carapace, la tortue a été photographie avec des traces de choc. L'observatoire des tortues marines rappelle la conduite à tenir pour éviter toute collision avec ces animaux. Nous publions leur communiqué ci-dessous. (Photo : Kélonia)
Une nouvelle tortue a été victime d'une collision avec une hélice de bateau. Déjà, en 2022, Stéphane Ciccione, le directeur de Kélonia expliquait que le phénomène s'emplifiait au fil des ans. Une nouvelle fois, une tortue a été blessé par les hélices du moteur d'un bateau.
Nous avons reçu des images d’une tortue blessée par une hélice de bateau. Il s’agit d’une tortue déjà présente dans la base de données Photo-identification de Kelonia, car elle a été observée auparavant sur plusieurs sites de plongée de l’Ouest. Il y a deux mois elle avait été observée sans blessure.
Lire aussi : SOS tortues en danger
Lire aussi : Les hélices mises en cage pour mieux protéger les tortues et les baleines
- Réduire les risques de collision -
Plusieurs supports de sensibilisation ont été mis en place par le CEDTM et le TCO au niveau des ports de l’Ouest pour informer les usagers du risque de collisions avec les tortues lorsque l’on navigue à des vitesses élevées:
- Panneaux sur la digue de sortie et à l’entrée des pontons à St-Gilles.
- la plate-forme OMEGA pour se former sur le web omega.upility.fr, http://omega.upility.fr/
Les tortues doivent remonter régulièrement en surface pour respirer et lorsque la température de l’eau se rafraîchit elle peuvent passer de longs moments en surface pour se chauffer au soleil.
La règlementation limite la vitesse à 5 noeuds dans la bande des 300m depuis le littoral ou la barrière de corail.
Mais les tortues sont présentes sur les fonds de 0 à -50m de profondeurs, il faut donc rester vigilant et réduire sa vitesse dans ces zones.

